Conjunto Penal de Eunápolis: visitante é flagrada com cilindro de drogas nas partes íntimas


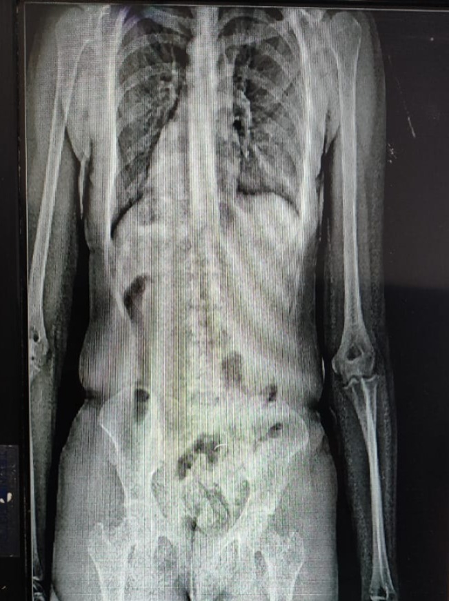
Uma mulher foi flagrada tentando entrar no Conjunto Penal de Eunápolis com cerca de 41 gramas de substâncias análogas à maconha e à cocaína. O caso aconteceu na manhã de terça-feira (6), durante o procedimento de revista com o uso do BodyScan, tecnologia de escaneamento corporal utilizada pela Secretaria de Administração Penitenciária e Ressocialização (Seap) nas unidades prisionais da Bahia.
Ao passar pelo equipamento, policiais penais identificaram irregularidades na imagem corporal da visitante, companheira de um interno da unidade. As imagens apontaram a presença de um objeto em formato cilíndrico introduzido na cavidade pélvica.
Após a entrega espontânea do material, foi constatado que o objeto continha as substâncias ilícitas, acondicionadas em um único invólucro, envolto em fita preta. Segundo as informações, a aquisição da droga teria sido intermediada pelo custodiado, a quem o material seria entregue.
A mulher e o companheiro foram encaminhados à Delegacia de Polícia de Eunápolis, juntamente com o material apreendido. Todos os procedimentos legais foram adotados para a apuração das responsabilidades penais e administrativas dos envolvidos.
*Outro caso*
Ainda na manhã de terça-feira (6), no Conjunto Penal de Barreiras, uma outra mulher foi detida ao tentar burlar o sistema de segurança ao esconder drogas nas partes íntimas para ingressar na unidade. A tentativa, no entanto, foi frustrada pelos agentes com o auxílio da mesma tecnologia de escaneamento corporal.
Na ocasião, a visitante, também companheira de um interno, foi flagrada com cerca de 20 gramas de substância análoga à Cannabis sativa, popularmente conhecida como maconha.
A mulher foi conduzida à Delegacia de Polícia da cidade, pela equipe da Polícia Militar, conforme o procedimento padrão para esse tipo de ocorrência.
_Fotos: Seap_
